Diese Auktion liegt in der Vergangenheit.





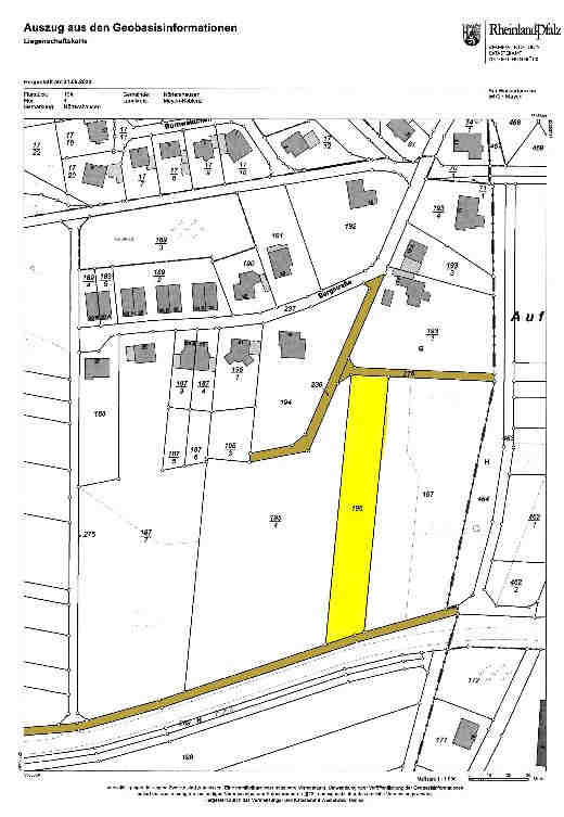
Land- und forstwirtschaftlich genutztes Grundstück in Nörtershausen
Land- und ForstwirtschaftGrundstück
Eingetragen im Grundbuch von Nörtershausen
lfd.Nr.
Gemarkung
Flur, Flurstück
Wirtschaftsart…
lfd.Nr.
Gemarkung
Flur, Flurstück
Wirtschaftsart…
AckerlandBauerwartungslandGrünflächeNörtershausenPfaffenheckunbebautGrundstückErschließunglandwirtschaftlichVerkehrswert
KI Dokumentenanalyse
Diese Informationen wurde mithilfe von KI-Technologie aus den Dokumenten extrahiert. Wir empfehlen dringend deren Überprüfung.
Jetzt 2 Monate kostenlos nutzen!
Grundstück
5532 m²
2 €/m²
Innenbesichtigung
Ja
durchgeführt
- Zusammenfassung
- Die bewerteten Grundstücke in 56283 Nörtershausen, Ortsteil Pfaffenheck, umfassen eine Fläche von insgesamt 5.600 m², die derzeit als Ackerland genutzt werden. Der Verkehrswert wurde zum Stichtag 19.06.2023 ermittelt und beträgt insgesamt rund 12.920,00 Euro.
- Allgemeine Beschreibung
- Die Grundstücke sind unbebaut und befinden sich in einem bauerwartungsland, das als Grünfläche genutzt wird. Die Lage ist im Außenbereich der Gemarkung Nörtershausen, mit einer guten Erschließung durch Feldwege. Die Grundstücksformen sind rechteckig und langgestreckt, und die Umgebung bietet eine leicht hügelige Topografie. Es bestehen keine öffentlich-rechtlichen Verpflichtungen in Form von Baulasten.
- Nutzungsart
- unbebaut
- Nutzungsstatus
- verpachtet
- Grundstückszuschnitt
- rechteckig, langgestreckt
- Zustandsbeschreibung
- Das Objekt befindet sich derzeit im Entwicklungszustand als Bauerwartungsland und wird als Ackerland genutzt. Es gibt keine Hinweise auf bauliche Mängel oder Schäden. Die Grundstücke sind unbebaut und weisen eine durchschnittliche Grundstücksqualität auf. Eine Innenbesichtigung hat stattgefunden, jedoch sind keine spezifischen Informationen zum Innen- oder Außenbereich verfügbar. Die Erschließung erfolgt über Feldwege.
- Wertermittlungsstichtag
- 26.06.2023
Lage
Im oberen Bornwäldchen, In der Weidengrube, 56283 Nörtershausen
Karte wird geladen...