




Gewerbeeinheit (z.B. Laden, Büro) in Essen
Das viergeschossige Wohn- und Geschäftshaus als Eckhaus einer geschlossenen Bebauung wurde zur Markgrafenstraße und zur Blumenthalstraße direkt an den öffentlichen Verkehrsraum errichtet. Der rückwärtige kleine Innenhof kann nur über das Treppenhaus erreicht werden. Zum rechten Nachbargrundstück wurde eine ca. 2 m hohe Mauer mit Pfeilern und ein Holzsichtschutzzaun…
KI Dokumentenanalyse
Diese Informationen wurde mithilfe von KI-Technologie aus den Dokumenten extrahiert. Wir empfehlen dringend deren Überprüfung.
Aufteilung
Etage 1
- Flur
- Schlafzimmer
- Durchgangsraum (Küche)
- Kinderzimmer
- Wohnzimmer
- Innenbad
- Innen-WC
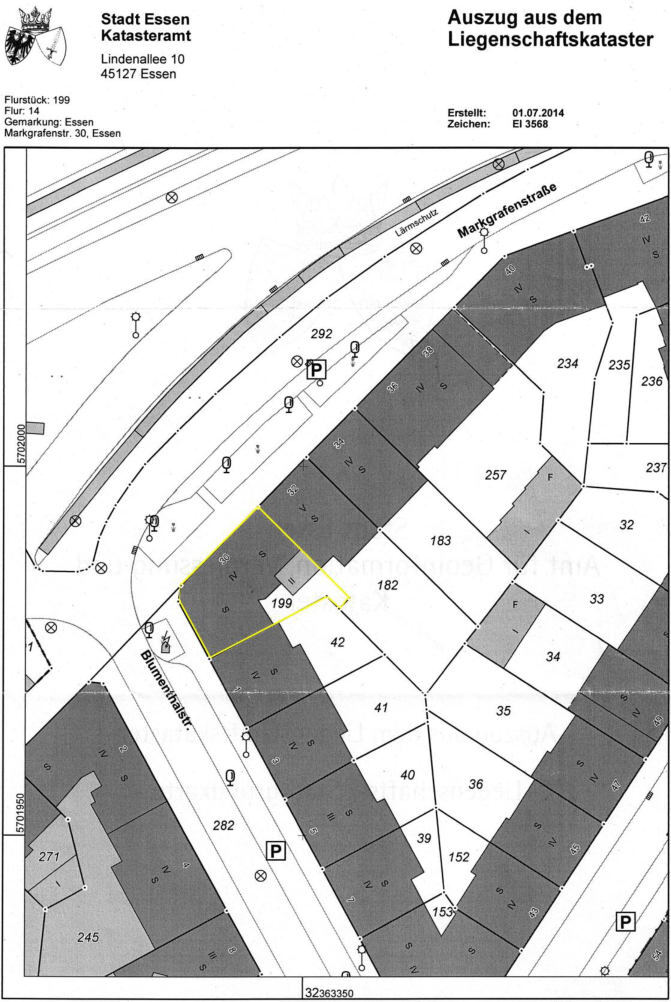
Flurstücke
- Essen, Flur 14 - 199237 m² Anteil 8026/100000= 19,02m²
Zustand
Der Gutachter weist darauf hin, dass nur eine oberflächliche, zerstörungsfreie Begutachtung ohne detaillierte Bauschadensanalyse erfolgt ist. Behebbare Schäden und Mängel werden pauschal oder anhand von Kostenschätzungen berücksichtigt, jedoch ohne differenzierte technische Prüfungen. Es wird empfohlen, für eine genaue Schadensbewertung einen Bauschadenssachverständigen hinzuzuziehen.
Schäden
mittelAusbruchstellen mit Putzabplatzungen im Bereich der Fensterbänke und Fensterlaibungen
Feuchtigkeit
hochRückseite zeigt starke Feuchtigkeitsschäden
Schäden
geringKabel sind unfachmännisch an der Außenwand befestigt
Renovierungsbedarf
hochDas Gebäude inklusive Anbau ist in schlechtem und sanierungsbedürftigem Zustand
Renovierungsbedarf
mittelHaustür ist eine alte Holztür aus dem Baujahr mit einfach verglastem Fenster und Oberlicht
Renovierungsbedarf
mittelFenster sind Kunststofffenster mit Isolierverglasung älteren Datums
Energieeffizienz
Energieträger
Gaszentralheizung mit Heizkörpern, Warmwasser über Durchlauferhitzer
Grundbuch
Amtsgericht
Essen
Grundbuch
Grundbuch von Essen
Blatt
11083
Bestandsverzeichnis
Essen, Flur I, Flurstück 199
Nr. 199Anteil: 8026/100000 (8,03%)
Abteilung II - Lasten und Beschränkungen
Zwangsversteigerungsvermerk
LastenIn Abteilung II des Grundbuches von Essen Blatt 11083 bestehen, abgesehen von dem Zwangsversteigerungsvermerk, keine Eintragungen.
Abschläge Verkehrswert
10.000 €Wertminderung aufgrund von Bauschäden und Baumängeln (teilweise sanierungsbedürftiger Zustand)
10.000 €
Lage
Blumenthalstr., Markgrafenstr. 30, 45138 Essen