




Eigentumswohnung (3 bis 4 Zimmer) in Crailsheim
Das viergeschossige Wohn- und Geschäftshaus als Eckhaus einer geschlossenen Bebauung wurde zur Markgrafenstraße und zur Blumenthalstraße direkt an…
KI Dokumentenanalyse
Diese Informationen wurde mithilfe von KI-Technologie aus den Dokumenten extrahiert. Wir empfehlen dringend deren Überprüfung.
Instandhaltung & Modernisierung
Aufteilung
Etage 1
- Ladenlokal EG rechts
- Flur EG rechts
- Verkaufsraum EG rechts
- Zimmer 1 EG rechts
- Zimmer 2 EG rechts
- Küche EG rechts
- Bad EG rechts
Etage 2
- 2-Zimmer Wohnung 1.OG links
- Flur 1.OG links
- Wohnzimmer 1.OG links
- Schlafzimmer 1.OG links
- Küche 1.OG links
- Bad 1.OG links
- Loggia 1.OG links
- 4-Zimmer Wohnung 1.OG rechts
- Flur 1.OG rechts
- Wohnzimmer 1.OG rechts
- Schlafzimmer 1.OG rechts
- Kinderzimmer 1.OG rechts 1
- Kinderzimmer 1.OG rechts 2
- Küche 1.OG rechts
- Bad 1.OG rechts
- Loggia 1.OG rechts
Etage 3
- 2-Zimmer Wohnung 2.OG links
- Flur 2.OG links
- Wohnzimmer 2.OG links
- Schlafzimmer 2.OG links
- Küche 2.OG links
- Bad 2.OG links
- Loggia 2.OG links
- 4-Zimmer Wohnung 2.OG rechts
- Flur 2.OG rechts
- Wohnzimmer 2.OG rechts
- Schlafzimmer 2.OG rechts
- Kinderzimmer 2.OG rechts 1
- Kinderzimmer 2.OG rechts 2
- Küche 2.OG rechts
- Bad 2.OG rechts
- Loggia 2.OG rechts
Etage 4
- 2-Zimmer Wohnung 3.OG links
- 4-Zimmer Wohnung 3.OG rechts
- Flur 3.OG rechts
- Wohnzimmer 3.OG rechts
- Schlafzimmer 3.OG rechts
- Kinderzimmer 3.OG rechts 1
- Kinderzimmer 3.OG rechts 2
- Küche 3.OG rechts
- Bad 3.OG rechts
- Balkon 3.OG rechts
- Loggia 3.OG rechts
Etage 5
- Trockenboden Dachgeschoss
- Abstellräume Dachgeschoss
Zustand
Das Gutachten berücksichtigt Bauschäden und Baumängel nur pauschal und auf den am Besichtigungstag offensichtlich erkennbaren Allgemeinzustand. Behebbare Schäden werden anhand geschätzter Kosten zur Beseitigung bewertet, jedoch erfolgt keine detaillierte Bauschadensbegutachtung, da nur eine zerstörungsfreie, augenscheinliche Untersuchung durchgeführt wurde. Angaben basieren auf Mitteilungen und oberflächlicher Inaugenscheinnahme ohne technische Prüfungen oder differenzierte Bestandsaufnahme.
Schäden
hochAußenwände inklusive Anbau in schlechtem und sanierungsbedürftigem Zustand mit Putzabplatzungen im Bereich der Fensterbänke und Fensterlaibungen
Feuchtigkeit
hochStarke Feuchtigkeitsschäden an der Rückseite des Gebäudes
Schäden
mittelKabel sind unfachmännisch an der Außenwand befestigt
Renovierungsbedarf
mittelHaustür ist eine alte Holztür aus dem Baujahr mit einfach verglastem Fenster und rundem Oberlicht, was auf Sanierungsbedarf hinweist
Renovierungsbedarf
mittelFenster sind Kunststofffenster mit Isolierverglasung älteren Datums, was auf Modernisierungsbedarf hindeutet
Energieeffizienz
Energieträger
Gaszentralheizung, Heizkörper (angeblich im Bad in Handtuchhalterform), Warmwasser über Durchlauferhitzer
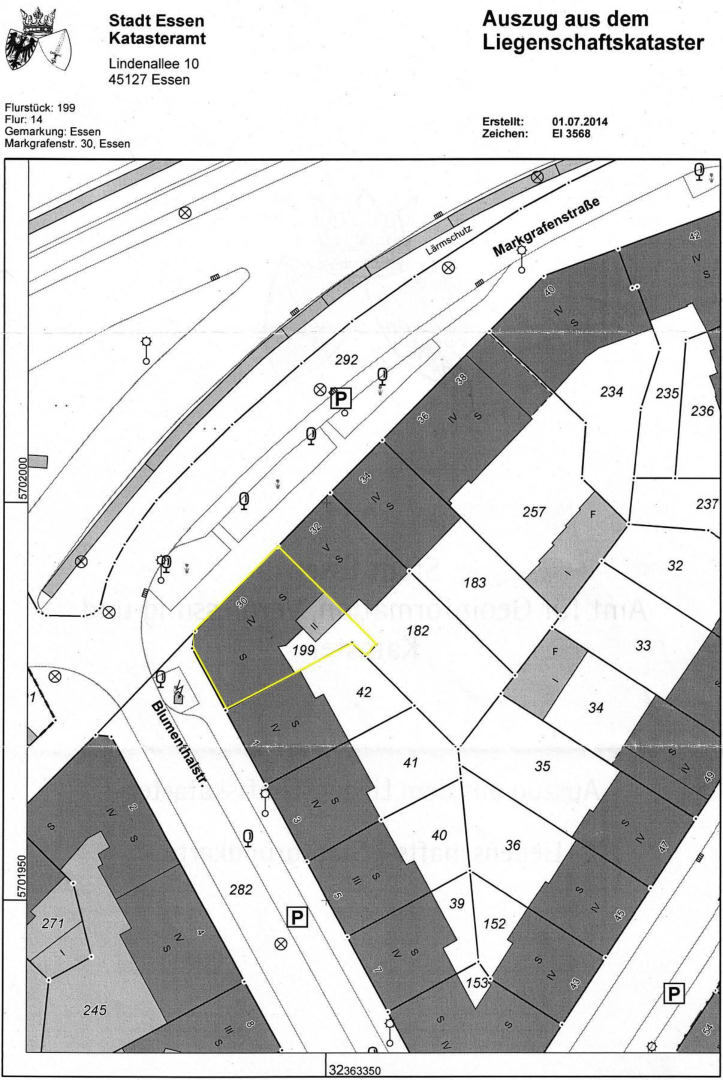
Grundbuch
Amtsgericht
Essen
Blatt
11086
Bestandsverzeichnis
, Flur , Flurstück 199
Abteilung II - Lasten und Beschränkungen
Zwangsversteigerungsvermerk
BeschränkungenIn Abteilung II des Grundbuches von Essen Blatt 11086 bestehen, abgesehen von dem Zwangsversteigerungsvermerk, keine Eintragungen.
Abschläge Verkehrswert
15.100 €Wertminderung aufgrund des offensichtlichen Zustandes und pauschale Berücksichtigung von Bauschäden
15.100 €
Lage
Blumenthalstr., Markgrafenstr. 30, 00000