




Eigentumswohnung (3 bis 4 Zimmer) in Crailsheim
Das viergeschossige Wohn- und Geschäftshaus als Eckhaus einer geschlossenen Bebauung wurde zur Markgrafenstraße und zur Blumenthalstraße…
KI Dokumentenanalyse
Diese Informationen wurde mithilfe von KI-Technologie aus den Dokumenten extrahiert. Wir empfehlen dringend deren Überprüfung.
Aufteilung
Etage 2
- Flur
- Wohnzimmer
- Schlafzimmer
- Kinderzimmer 1
- Kinderzimmer 2
- Küche
- Bad
- Loggia
Etage -1
- Kellerraum Nr. 6
Zustand
Das Gutachten weist darauf hin, dass nur eine zerstörungsfreie, augenscheinliche Untersuchung ohne differenzierte Bestandsaufnahme oder technische Prüfungen erfolgte. Behebbare Schäden und Mängel wurden pauschal geschätzt, eine vertiefende Untersuchung und Kostenermittlung wird empfohlen. Konkrete Aussagen zu Renovierungsbedarf, Schäden, Schimmel, Feuchtigkeit oder Rissen sind nicht enthalten.
Schäden
mittelAusbruchstellen mit Putzabplatzungen im Bereich der Fensterbänke und Fensterlaibungen
Feuchtigkeit
hochStarke Feuchtigkeitsschäden an der Rückseite des Gebäudes
Schäden
geringKabel sind unfachmännisch an der Außenwand befestigt
Renovierungsbedarf
mittelHaustür ist eine alte Holztür aus dem Baujahr mit einfach verglastem Fenster und rundem Oberlicht
Renovierungsbedarf
mittelFenster sind Kunststofffenster mit Isolierverglasung älteren Datums
Renovierungsbedarf
hochGebäude inklusive Anbau ist in schlechtem und sanierungsbedürftigem Zustand
Energieeffizienz
Energieträger
2019: Nachtspeicherheizung. Warmwasser über Durchlauferhitzer.
Grundbuch
Amtsgericht
Essen
Grundbuch
Grundbuch von Essen
Blatt
11088
Bestandsverzeichnis
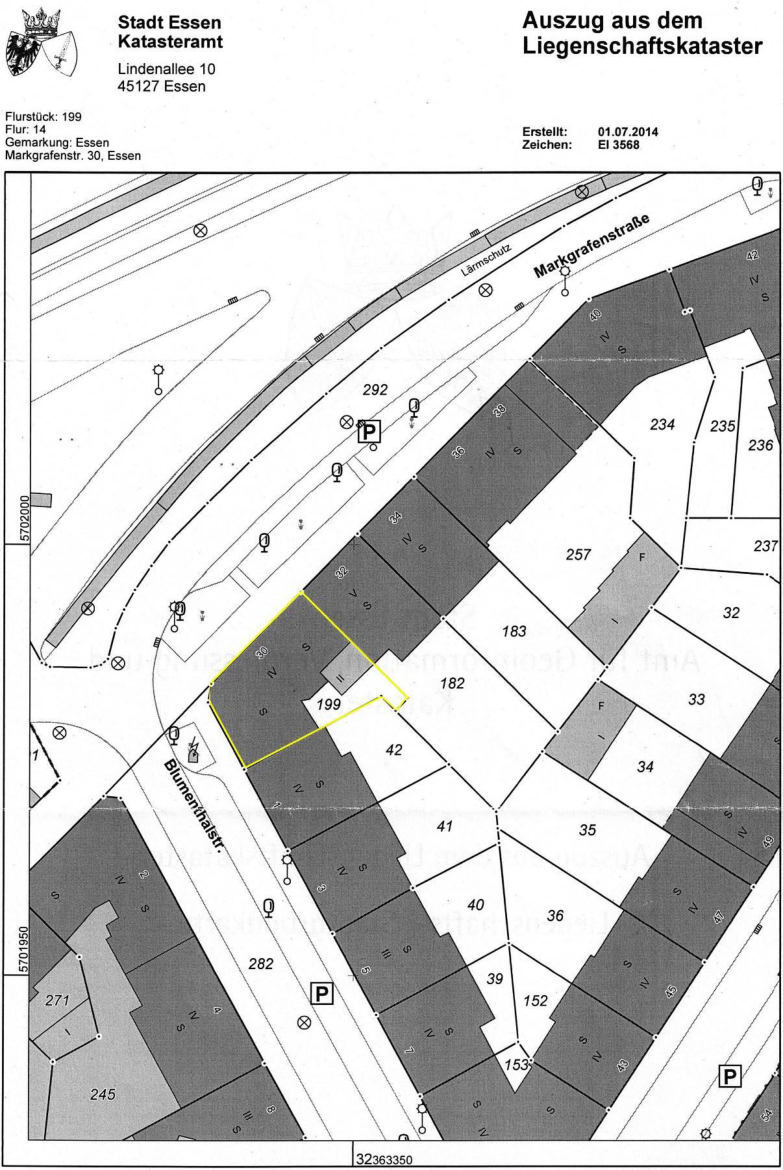
Essen, Flur J, Flurstück 199
Nr. 199Anteil: 13158/100000 (13,16%)
Abteilung II - Lasten und Beschränkungen
Zwangsversteigerungsvermerk
LastenIn Abteilung II des Grundbuches von Essen Blatt 11088 bestehen, abgesehen von dem Zwangsversteigerungsvermerk, keine Eintragungen.
Lage
Blumenthalstr., Markgrafenstr. 30, 00000