




Eigentumswohnung (1 bis 2 Zimmer) in Crailsheim
Das viergeschossige Wohn- und Geschäftshaus als Eckhaus einer geschlossenen Bebauung wurde zur Markgrafenstraße und zur Blumenthalstraße direkt an den öffentlichen Verkehrsraum errichtet. Der rückwärtige…
KI Dokumentenanalyse
Diese Informationen wurde mithilfe von KI-Technologie aus den Dokumenten extrahiert. Wir empfehlen dringend deren Überprüfung.
Aufteilung
Etage 0
- Ladenlokal EG rechts
- 3-Zimmer Wohnung EG links
Etage 1
- 2-Zimmer Wohnung 1.OG links
- 4-Zimmer Wohnung 1.OG rechts
- 3-Zimmer Wohnung 1.OG links 66 m²
Etage -1
- Keller
Flurstücke
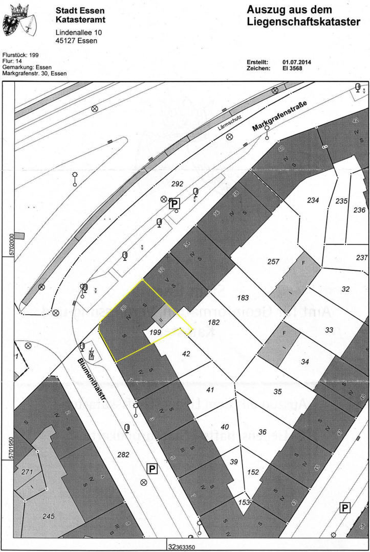
- Blumenthalstraße, Flur 14 - 199237 m²
Zustand
Der Gutachter weist darauf hin, dass nur eine zerstörungsfreie, augenscheinliche Untersuchung ohne Bauschadensbegutachtung erfolgt ist, weshalb die Auflistung der Mängel und Schäden nicht abschließend ist. Wertminderungen aufgrund offensichtlicher Schäden werden pauschal geschätzt, eine vertiefende Untersuchung und Kostenermittlung wird empfohlen. Angaben beruhen auf Mitteilungen und oberflächlicher Inaugenscheinnahme ohne technische Prüfungen.
Feuchtigkeit
hochDie Rückseite zeigt starke Feuchtigkeitsschäden.
Schäden
mittelAusbruchstellen mit Putzabplatzungen im Bereich der Fensterbänke und Fensterlaibungen sind sichtbar.
Renovierungsbedarf
hochDie gesamte Rückfassade inklusive dem Anbau ist in schlechtem und sanierungsbedürftigem Zustand.
Schäden
geringKabel sind unfachmännisch an der Außenwand befestigt.
Energieeffizienz
Energieträger
Gaszentralheizung, Warmwasser über Durchlauferhitzer, Heizkörper
Grundbuch
Amtsgericht
Essen
Grundbuch
Grundbuch von Essen
Blatt
11085
Bestandsverzeichnis
, Flur , Flurstück 199
Abteilung II - Lasten und Beschränkungen
Zwangsversteigerungsvermerk
LastenIn Abteilung II des Grundbuches von Essen Blatt 11085 bestehen, abgesehen von dem Zwangsversteigerungsvermerk, keine Eintragungen.
Abschläge Verkehrswert
8.600 €Wertminderung für das Sondereigentum Nr. 3
8.600 €
Lage
Blumenthalstr., Markgrafenstr. 30, 00000