




Wohn-/Geschäftshaus in Bielefeld
voll unterkellertes, zweigeschossiges Wohn-und Geschäftshaus mit voll ausgebautem Dachgeschoss, 1934 erbaut mit einer GesamtWohn- und Nutzfläche von ca. 179 m², nebst einer Doppelgarage.
Das Objekt ist aufgrund eines 2022 entstandenen Wasserschadens nicht nutzbar.
Kontaktdaten des Gläubigers:
Deutsche Bank AG
Sachbearbeiterin: Frau Kelmendi
Telefonnummer: 030 34073350
KI Dokumentenanalyse
Diese Informationen wurde mithilfe von KI-Technologie aus den Dokumenten extrahiert. Wir empfehlen dringend deren Überprüfung.
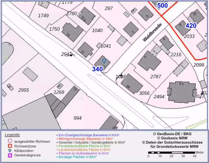
Flurstücke
- Quelle, Flur 4 - 1041680 m² Anteil 1/2= 340m²
- Quelle, Flur 4 - 1041680 m² Anteil 1/2= 340m²
Zustand
mangelhaftDas Gebäude weist zahlreiche Mängel auf, darunter Schäden an Regenrinnen, Einfriedungsmauer und Kelleraußenzugang sowie Feuchtigkeitsschäden und erhebliche Mauerwerksrisse an der Doppelgarage. Der Heizungskessel ist überaltert und vermutlich defekt, Außenanlagen sind ungepflegt, und Carport sowie Doppelgarage sind schadhaft und sollen abgerissen werden. Zudem gibt es optische Mängel und Risse an Fassadenflächen, Schäden am Dachüberstand und überalterte Dachflächenfenster.
Schäden
mittelSchäden an den Regenrinnen
Renovierungsbedarf
hochHeizungskessel ist überaltert (43 Jahre alt) und vermutlich defekt
Schäden
mittelSchäden an der Einfriedungsmauer
Renovierungsbedarf
geringAußenanlagen sind ungepflegt
Schäden
hochCarport ist schadhaft und soll abgerissen werden
Schäden
mittelDoppelgarage mit überalterten Garagentoren
Schäden
mittelDoppelgarage mit schadhaftem Fenster
Feuchtigkeit
hochFeuchtigkeitsschäden in der Doppelgarage
Risse
hochErhebliche Mauerwerksrisse in der Doppelgarage, Abriss vorgesehen
Risse
hochMauerwerksrisse in der rechten Garage (Innenansicht)
Feuchtigkeit
hochFeuchtigkeitsschäden in der rechten Garage (Innenansicht)
Risse
hochMauerwerksrisse in der linken Garage (Innenansicht)
Feuchtigkeit
hochFeuchtigkeitsschäden in der linken Garage (Innenansicht)
Schäden
mittelBeschädigtes Fenster in der linken Garage
Risse
mittelMauerwerksrisse am Hauseingangstürbereich
Feuchtigkeit
hochFeuchtigkeitsschäden und Schimmel im Treppenhaus (EG)
Feuchtigkeit
hochFeuchtigkeitsschäden und Schimmel im Flur (EG)
Feuchtigkeit
hochFeuchtigkeitsschäden und Schimmel in der Anmeldung (EG)
Feuchtigkeit
hochFeuchtigkeitsschäden und Schimmel bei der E-Unterverteilung (EG)
Feuchtigkeit
hochFeuchtigkeitsschäden und Schimmel im Bereich Bauleitung (EG)
Feuchtigkeit
hochFeuchtigkeitsschäden und Schimmel im Ausstellungsbereich (EG)
Feuchtigkeit
hochFeuchtigkeitsschäden und Schimmel im Badezimmer (EG)
Feuchtigkeit
hochFeuchtigkeitsschäden und Schimmel im Flur (EG)
Feuchtigkeit
hochFeuchtigkeitsschäden und Schimmel in der Abstellfläche unter der Treppe (EG)
Energieeffizienz
Energieträger
Gas-Zentralheizung im Kellergeschoss installiert (Fa. Viessmann, Typ: LH 30) mit 30 kW Leistung
Grundbuch
Amtsgericht
Bielefeld
Grundbuch
Grundbuch von Quelle
Blatt
1800
Bestandsverzeichnis
Quelle, Flur 4, Flurstück 1041
Nr. 1680 m²
Lage
Waldbreede 1, 33649 Bielefeld, Quelle
Zusammenfassung
- Amtsgericht
- Amtsgericht Bielefeld
- Aktenzeichen
- 0006 a K 0065/ 2024
- Art
- Versteigerung im Wege der Zwangsvollstreckung
Anhänge
Quelle
Sie sind Eigentümer/Gläubiger und möchten das Versteigerungsergebnis durch weitere Informationen positiv beeinflussen? Dann kontaktieren Sie uns gerne.
Alle Angaben ohne Gewähr.